Atmospheric observations, Lille, summer 2017
Aerosols, from ground to stratosphere !
Many atmospheric events occurred during August 2017, leading to a diversity of particle loadings distributed into the Earth’s atmosphere at various levels and reaching altitudes up to 20 km high. A team of researchers from LOA (Laboratoire d’Optique Atmosphérique) investigating such events, presents here their observations based on a measurement campaign in North of France, on several fixed measurement platforms and on air quality monitoring networks.

Red color of sunset is a consequence of the presence of smoke particles in the atmosphere,
even very likely mixed with mineral dust, on this particular day.
Credits: F. Unga, LOA.
Ioana Popovici, PhD student at LOA and CIMEL Electronique company under co-supervision of P. Goloub and S. Victori, and Florin Unga, postdoc researcher at LOA, have performed measurements during a field campaign organized in Paris at the end of August 2017 with the Mobile System « CaPPA » (Fig. 1). The measurement campaign has been organized in the framework of several national and regional projects such as ACTRIS-FR, Labex CaPPA and CPER CLIMIBIO, to study the regional atmospheric aerosol variability.
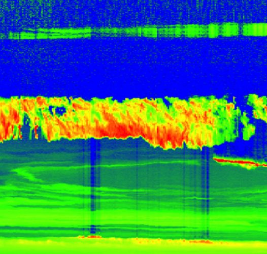
Data from remote sensing instruments such as LiDAR (Light Detection And Ranging) on the measurement platform of SIRTA observatory (in Palaiseau) and of the Mobile System « CaPPA » revealed a rare atmospheric phenomenon: a layer of aerosol particles in the stratosphere, between 18 and 20 km height. They originate from recent intense forest fires that occurred in Canada starting with beginning of August. The aerosol layer has been detected and tracked by the mobile system all along its way from Palaiseau to Lille on August 29th afternoon (Fig. 2).

LiDAR CIMEL (credit I. Popovici, LOA/CIMEL).
Color scale indicates the « density » of particles in the atmosphere (dark red – high density, dark blue – light density).
What was indeed surprising was the altitude level where the aerosol layer was present. LiDAR instruments operated by LOA laboratory had previously detected atmospheric aerosols at an altitude higher than usual (between 2 and 12 km) from August 19th at night (Fig. 3). Moreover, other atmospheric monitoring stations in Evora (Portugal) and Bucharest (Romania), as part of the European LiDAR network EARLINET/ACTRIS, which also includes Lille LOA site, detected high altitude particle layers. Possibly, even at the second atmospheric monitoring station operated by LOA, located in western Africa, Dakar (Senegal), a very thin elevated layer of atmospheric particles has been detected at 17 – 18 km height. However, in this case further investigation is needed to confirm the presence of aerosols at high altitude.

Color scale indicates the « density » of particles in the atmosphere (dark red – high density, dark blue – light density).
All of these aerosols layers are located far beyond the top of the highest tropospheric clouds, reaching 11 km height at our latitude and 15 km height in Dakar. At such high altitude, rain or storms cannot wash out the particles. They will reside for a long time in the atmosphere, above our heads. These carbon-rich aerosols diffuse and absorb a significant amount of solar radiation. They warm up locally and temporarily the atmospheric layer where they reside and slightly cool down the Earth’s surface by reducing the solar flux that reaches the surface.
Meanwhile, other atmospheric events took place in North of France in the same period. Sahara desert brings not only heat waves but also dust particles, which were detected in the troposphere at altitudes between 0 and 5 km. Furthermore, local anthropogenic activities were not negligible. Starting with 26th of August and lasting for several days, particle concentration at surface level increased, event reported by the regional agency of air quality monitoring (ATMO-HDF). Since local emissions exceeded the regulatory threshold, ATMO-HDF published a public report to inform the population about the pollution event.
It seems that not only the roads are busy with “back-to-school” and “back-from-holiday” periods, but also the atmosphere is full of events! Thanks to Lille high performance LiDAR , it is possible to read into the atmosphere and discover that every level of the atmosphere is carrying particles coming from far away.
Written by Philippe Goloub, Ioana Popovici, Florin Unga and Qiaoyun Hu
LOA, 31/08/2017
