News
5th Advisory Board of the Labex
On October 4, 2017, the Labex CaPPA will present its latest advances to the Scientific Council. Meeting open to all Labex members!
Atmospheric observations summer 2017
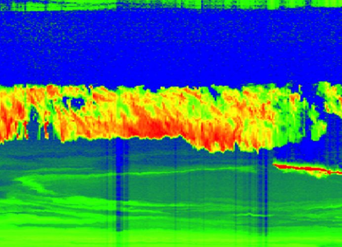
Dust on all levels of the atmosphere
The LANDes Experiment
The LANDes Experiment
An atmospheric measurement campaign in South West of France forest
